
































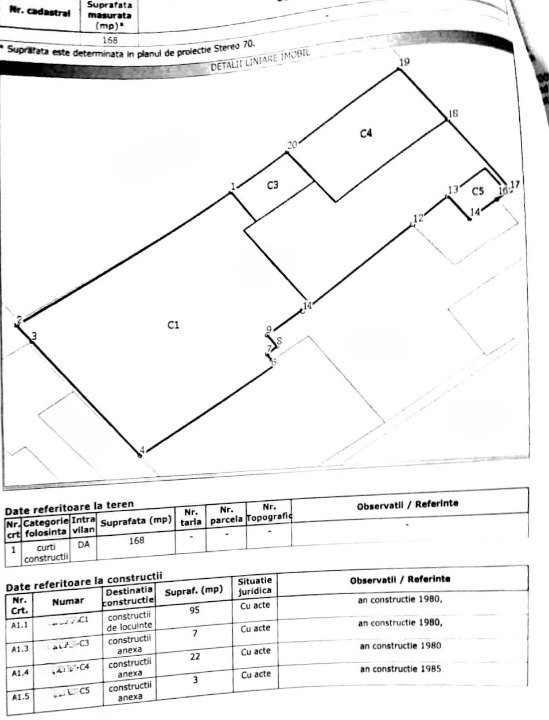
0% comision | Casa individuala | 4 camere | Garaje | Centrala termica | Teren total 168 mp | Curte proprie
______________________________________________________________
Daca esti interesat sa te muti la casa in Bucuresti sau poate sa aduci o parte din familie mai aproape de tine, parcurge acest anunt caci e posibil ca asta sa fie ceea ce cauti.
Iti propun spre cumparare o casa individuala aflata in zona Colentina, pe str. Enache Sandu. Aceasta se afla pe un teren cu suprafata totala de 170 mp alaturi de un garaj, o toaleta de serviciu separata si o bucatarie de vara ce poate fi pastrata sau convertita in spatiu de depozitare.
Casa din paianta este alcatuita din 4 incaperi, hol cu bucatarie deschisa, loc de depozitare pe toata latimea casei in partea din spate, baie cu acces atat din zona holului si a bucatarie cat si de pe terasa casei. Locuinta beneficiaza de centrala termica proprie pe gaz, canalizare, apa curenta si curent electric.
Pentru mai multe detalii si stabilirea unei vizionari, astept sa ma contactati!